a Solferino INTROVABILE Lotto Artigianale

Solferino (Mantova)

Rif: 2643
Condividi Linkedin Whatsapp Stampa
€ 300.000
Vendita
Terreno edificabile
6300 Mq
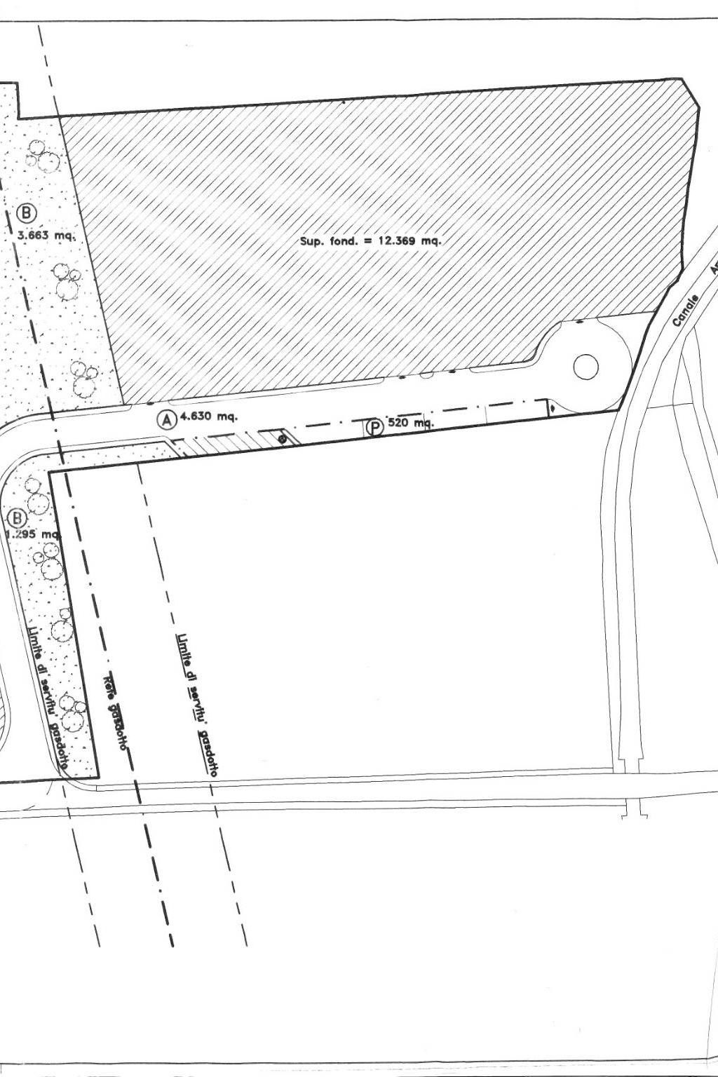
Scopri un'opportunità imperdibile nel cuore di Solferino! Proponiamo in vendita un lotto di terreno artigianale di ben 6.300 mq, situato in una posizione strategica e facilmente accessibile. Questo appezzamento è ideale per aziende medie e grandi che desiderano espandere o ampliare la propria attività.
La proprietà beneficia di una edificabilità coperta del 50%, con la possibilità di acquisire fino a 12.600 mq complessivi. La sua collocazione favorevole permette l'accesso facilitato per bilici e camion rimorchi, rendendola perfetta per ogni tipo di operazione commerciale.
Situata all'esterno del paese, nella direzione verso Castiglione delle Stiviere, il terreno si trova nelle immediate vicinanze della tangenziale e del raccordo autostradale, garantendo ottimi collegamenti sia locali che nazionali. Questa area rappresenta dunque un punto nevralgico non solo per le operazioni logistiche ma anche come sede aziendale.
Non perdere questa occasione unica! Contatta subito l'agenzia per ulteriori informazioni o per organizzare una visita al 0309913699.

“Dati e immagini hanno valore indicativo e saranno confermati in sede di appuntamento. Le foto possono includere render illustrativi; l'indirizzo indica la zona e non l'ubicazione precisa.”

Dettaglio immobile

Contratto Vendita
Rif 2643
Prezzo € 300.000
Provincia Mantova
Comune Solferino
Indirizzo Sp8
Superficie 6300 mq
Ascensore no

Video

Planimetrie

Richiedi maggiori informazioni

Autorizzazione al trattamento dei dati personali+
Dichiaro di aver letto l'informativa sulla privacy ed accetto le condizioni d'utilizzo del servizio.
Riempi il campo con il codice riportato nell'immagine*
Codice Captcha
Chiamaci Contattaci