Occasione Unica in Centro Guidizzolo: Ideale per Investitori

Guidizzolo (Mantova)

Rif: 2763
Condividi Linkedin Whatsapp Stampa
€ 140.000
Appartamento
348 Mq
7 Vani
Classe energetica G
5 Camere
2 Bagni
Garage
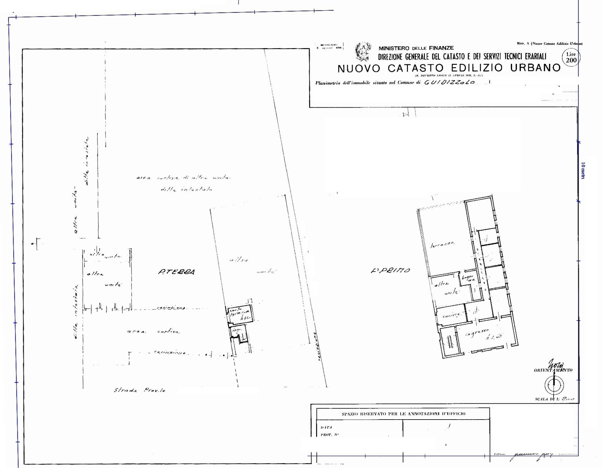
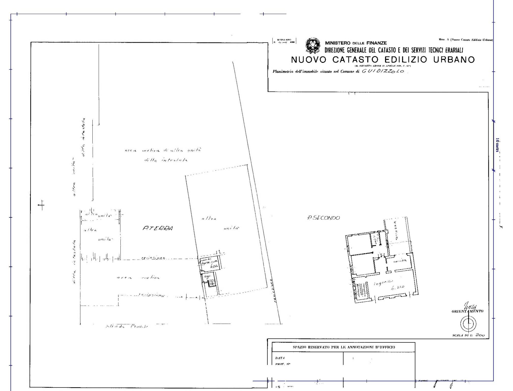
Nel cuore di Guidizzolo, a pochi passi dai principali servizi del centro paese, proponiamo un'interessante soluzione immobiliare ideale come investimento o per chi cerca ampi spazi da personalizzare. L'immobile si trova all'interno di una palazzina composta da sole tre unità ed è situato nella zona centrale, comoda sia ai mezzi che alle attività commerciali e scuole. La proprietà comprende due grandi appartamenti al primo e secondo piano (totali circa 390 mq), entrambi completamente da ristrutturare con la possibilità di ricavare fino a tre unità abitative indipendenti grazie agli ampi volumi disponibili.

Il primo appartamento misura circa 180 mq oltre ad una terrazza esclusiva di ben 80 mq; il secondo piano offre ulteriori 135 mq interni più una terrazza panoramica di circa 30 mq. Gli ambienti sono spaziosi e luminosi, caratterizzati da soffitti alti tipici delle costruzioni storiche del centro lombardo. Al piano terra si trovano l'ingresso carraio/pedonale privato che conduce comodamente ai due garage inclusi nella proprietà – dettaglio raro nel contesto urbano!

Le utenze devono essere rese autonome rispetto alla porzione degli uffici sottostanti (gas/acqua/luce già predisposte). Zero spese condominiali garantiscono massima autonomia gestionale.

Questa proposta rappresenta un vero affare per artigiani desiderosi di creare soluzioni su misura oppure investitori interessati ad operazioni immobiliari redditizie in uno dei comuni più richiesti dell'Alto Mantovano! Contattaci subito al 0309913699 per maggiori informazioni o fissare una visita: lo staff dell'agenzia sarà lieto di accompagnarti verso il tuo prossimo progetto immobiliare.

“Dati e immagini hanno valore indicativo e saranno confermati in sede di appuntamento. Le foto possono includere render illustrativi; l'indirizzo indica la zona e non l'ubicazione precisa.”

Dettaglio immobile

Contratto Vendita
Rif 2763
Prezzo € 140.000
Provincia Mantova
Comune Guidizzolo
Indirizzo Strada Per Medole
Superficie 348 mq
Vani 7
Camere 5
Bagni 2
Classe energetica G (DL 192/2005)
EPI 175 kwh/m2 anno
Condizioni da ristrutturare
Anno di costruzione 1960
Ascensore no
Garage singolo si
Cucina abitabile
Balcone si
Terrazza si

Consistenze

Descrizione Superficie Sup. comm.
Principali
Immobile - 1° piano 180 Mq 180 Mqc
Terrazza - 1° piano 80 Mq 24 Mqc
Immobile - 2° piano 135 Mq 135 Mqc
Terrazza - 2° piano 30 Mq 9 Mqc
Totale 348 Mqc

Video

Planimetrie

Richiedi maggiori informazioni

Autorizzazione al trattamento dei dati personali+
Dichiaro di aver letto l'informativa sulla privacy ed accetto le condizioni d'utilizzo del servizio.
Riempi il campo con il codice riportato nell'immagine*
Codice Captcha
Chiamaci Contattaci